Save
Ask
Tour
Hide
$280,800
New Listing
LOT 2 Snote Jones RDDallas, GA 30132
For Sale|Unimproved Land|Coming Soon
0
Beds
0
Total Baths
Subdivision:
None
County:
Paulding
Call Now: (478) 335-0702
Is this the listing for you? We can help make it yours.
(478) 335-0702



Save
Ask
Tour
Hide
Mortgage Calculator
Monthly Payment (Est.)
$1,281Calculator powered by Showcase IDX, a Constellation1 Company. Copyright ©2026 Information is deemed reliable but not guaranteed.
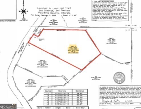
Come build your dream on 4.320 acres of beautiful flowing land, with sections of mature hardwoods, perfect for your own dream home setting in the sought after North Paulding High School District! An absolute wonderful property with an unobstructed lake view on the adjoining property. Frontage on Snote Jones Rd. Close to 10 min. from downtown Dallas! Soil test completed. Builder just cut in the driveway so it's easier to gain access! Builder has 1 other lot available next door (Lot 1: 3.435ac, - MLS# 10705173)! We can Build to Suit or Bring your own Builder! Plenty of options on a pristine piece of North Paulding property!
Save
Ask
Tour
Hide
Listing Snapshot
Price
$280,800
Days On Site
0 Days
Bedrooms
N/A
Inside Area (SqFt)
N/A
Total Baths
N/A
Full Baths
N/A
Partial Baths
N/A
Lot Size
4.32 Acres
Year Built
N/A
MLS® Number
10705198
Status
Coming Soon
Property Tax
N/A
HOA/Condo/Coop Fees
N/A
Sq Ft Source
N/A
Friends & Family
Recent Activity
| 19 hours ago | Listing first seen on site | |
| 19 hours ago | Listing updated with changes from the MLS® |
General Features
Acres
4.32
Additional Property Use
Other
Property Sub Type
Unimproved Land
Sewer
None
Utilities
Electricity Available
Water Source
None
Save
Ask
Tour
Hide
Exterior Features
Frontage
Lakefront
Lot Features
Other
Road Frontage
County Road
View
Lake
Waterfront
Yes
Waterfront Features
Lake Front
Waterview
Lake
Community Features
Community Features
None
Financing Terms Available
CashConventional
Roads
Paved
Schools
School District
Unknown
Elementary School
Northside
Middle School
McClure
High School
North Paulding
Listing courtesy of REMAX Around Atlanta
Information deemed reliable but not guaranteed. The data relating to real estate for sale on this web site comes in part from the Broker Reciprocity Program of Georgia MLS. Real estate listings held by brokerage firms other than this office are marked with the Broker Reciprocity logo and detailed information about them includes the name of the listing brokers. Copyright © 2020-present Georgia MLS. All rights reserved.
Last checked: 2026-03-07 02:50 PM UTC
Information deemed reliable but not guaranteed. The data relating to real estate for sale on this web site comes in part from the Broker Reciprocity Program of Georgia MLS. Real estate listings held by brokerage firms other than this office are marked with the Broker Reciprocity logo and detailed information about them includes the name of the listing brokers. Copyright © 2020-present Georgia MLS. All rights reserved.
Last checked: 2026-03-07 02:50 PM UTC
Neighborhood & Commute
Source: Walkscore
Save
Ask
Tour
Hide
Did you know? You can invite friends and family to your search. They can join your search, rate and discuss listings with you.